Logo QIMMO

Location - RONCQ - LOCAL D'ACTIVITE

Photo principale de l'annonce
Ref :59_0036
Type de transaction
Location
Type de bien
LOCAL D'ACTIVITE
Ville
RONCQ
Surface
2500.00 m²
Loyer
Nous consulter pour obtenir les conditions financières

Description

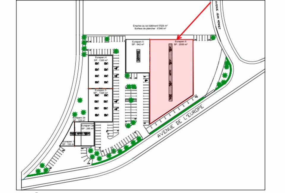
Optimisez vos flux et gagnez en productivité avec cette plateforme de 2 500 m², idéalement située au sein du CIT de Roncq. Ce parc d'activités de référence, véritable carrefour européen, offre un cadre sécurisé et valorisant à seulement 2 minutes de l'autoroute A22.

Ce bâtiment se distingue par des caractéristiques techniques rares :

  • Capacité de chargement exceptionnelle : Équipé de 10 quais niveleurs, ce site garantit une rotation fluide et intensive de vos camions.

  • Volume de stockage optimisé : Profitez d'une hauteur libre de 7,31 mètres, idéale pour le rackage haute densité et l'optimisation de vos volumes de stockage.

  • Confort et luminosité : L'entrepôt de 2 300 m² bénéficie d'une voûte lumineuse zénithale, offrant une clarté naturelle qui améliore les conditions de travail tout en réduisant les coûts d'éclairage.

  • Espace tertiaire : 200 m² de bureaux fonctionnels viennent compléter l'ensemble pour un pilotage administratif au plus près de l'activité.

Une infrastructure robuste, lumineuse et stratégiquement connectée, prête à accueillir vos ambitions de croissance transfrontalière.

Prestations

10 quais de 3 m x 3 m Une porte sectionnelle de 4 m x 4,30 m Hauteur extérieure 7,30 m RT 2012 DPE classe B Voute lumineuse Agencement bureaux lumineux Provision pour Charges : Assurance bâtiment Surveillance du site par Sécuritas Entretien des espaces vert et de la voirie Nettoyage des parties vitrées extérieures Entretien toiture et réseaux extérieurs

Batiment - LotEtage
Entrepôt2 300 m²
Bureaux200 m²

Localisation

Situation

Nord métropole de Lille
20 min de Lille
3 min Autoroute A22 (Belgique)
3 min frontière Belgique
Accès rapide Autoroute A22

Énergie

DPE
DPE en attente
GES
GES en attente